广告招募

当前位置:中非贸易网 > 技术中心 > 所有分类

在汽车制造过程中利用超声技术检测接缝的粘结质量

2026年01月26日 08:38:04      来源:增宜检测技术(上海)有限公司 >> 进入该公司展台      阅读量:4

分享:

在汽车制造过程中利用超声技术检测接缝的粘结质量
在汽车制造过程中,一般会使用胶粘接缝工艺将汽车某些部件的边沿连接在一起,如:车门、引擎罩和后备箱等。先将两个部件的粘接区域处理成粗面,然后再使用粘胶将两个部件粘接在一起,以确保粘结强度,提高耐腐蚀性能,并减少振动现象。汽车制造商可以利用超声技术对这些粘结接缝进行质量控制:在涂有粘胶剂的区域超声波会出现衰减现象,而在粘胶剂缺失的区域,会出现从底面反射的回波。
EdgeFORM相控阵轮式探头 EdgeFORM相控阵轮式探头

当前超声检测设备的问题

需要进行粘结接缝检测的汽车部件在形状、厚度及表面条件上各不相同。这些部件的外部和内部都具有非常复杂的几何形状。
使用常规超声探头进行检测,虽然可使操作人员跟踪粘结接缝并进行准确的定量,但是这种技术还是有其不足之处。检测人员需要使用光栅扫查方式在X轴和Y轴上移动探头,以覆盖整个粘结接缝,这种方式会在部件上留下痕迹,而且很难为整个粘结接缝进行成像操作。
由于汽车部件的几何形状较为复杂,接触式相控阵探头无法覆盖整个接缝。这种方式还会在部件上留下痕迹。此外,还存在耦合问题,因为部件在几何形状上的变化会使探头很难持续贴附在部件上。
EdgeFORM相控阵轮式探头EdgeFORM相控阵轮式探头
EdgeFORM相控阵轮式探头EdgeFORM相控阵轮式探头

使用奥林巴斯的粘结接缝相控阵轮式探头的检测解决方案

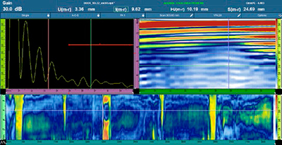
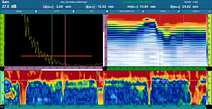
为了解决因汽车部件复杂多变的几何形状而难以检测的问题,奥林巴斯开发了EdgeFORM相控阵轮式探头。EdgeFORM轮式探头可以耦合到带有粘结接缝的部件的边沿上,其孔径的长度可在4毫米到32毫米的范围内调节,可以贴附在复杂的几何形状上,而且可以借助易于判读的C扫描跟踪粘结接缝。
EdgeFORM相控阵轮式探头
EdgeFORM探头可以在没有涂漆的表面上平滑滚动,而不会留下刮痕或可见的缺陷。轮子的压缩会在粘结接缝的长度方向上提供一致的耦合效果,而C扫描可以清晰地显示部件的粘结情况:红色表明未粘结区域,蓝色表明粘结区域。
EdgeFORM相控阵轮式探头EdgeFORM相控阵轮式探头
版权与免责声明:
1.凡本网注明"来源:中非贸易网"的所有作品,版权均属于中非贸易网,转载请必须注明中非贸易网。违反者本网将追究相关法律责任。
2.企业发布的公司新闻、技术文章、资料下载等内容,如涉及侵权、违规遭投诉的,一律由发布企业自行承担责任,本网有权删除内容并追溯责任。
3.本网转载并注明自其它来源的作品,目的在于传递更多信息,并不代表本网赞同其观点或证实其内容的真实性,不承担此类作品侵权行为的直接责任及连带责任。其他媒体、网站或个人从本网转载时,必须保留本网注明的作品来源,并自负版权等法律责任。 4.如涉及作品内容、版权等问题,请在作品发表之日起一周内与本网联系。